조황관리HOME / 조황관리 / 상세정보

제목 : 3월 7일 갑오징어 조황
등록일 : 2026-03-07




20260307_160633.jpg


1772880606097.jpg


1772880606281.jpg


1772880606368.jpg


20260307_160624.jpg


20260307_160616.jpg


20260307_160558.jpg


1772880606576.jpg


1772880606643.jpg


20260307_105634.jpg


1772880606839.jpg


1772880606976.jpg


20260307_091425.jpg


20260307_090919.jpg


1772880607180.jpg


20260307_080129.jpg


1772880607392.jpg


1772880607331.jpg

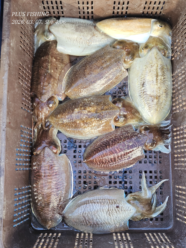
안녕하십니까 장선장입니다.
오늘은 위미항에서 두번째 출항입니다.
완도배를 타고 오시는 분들이 있어
조금 늦게 출항 하였습니다.
출항하니 벌써 포인트에 배들이 꽉차 있었습니다.
찾고찾아 괜찮아 보이는 곳에 포인트를 잡고
낚시를 시작하였습니다.
어제 보다는 기상도 좋고 갑이들도 반응이
빨리와 주었습니다. 
어제 말한대로 특정 액션에 반응하는 갑이들
낚시 시작전 방송으로 설명 드렸지만
역시나 말로는 설명이 힘든거 같습니다.
금방 캐치하신분들은 잘잡으시고 
거치식으로 천천히 들었다 내렷다 하신분들은
조과가 차이가 났습니다.
장원 25 부장원 23 20 20 19 18. 마리로 
배가 4바퀴 반을 돌면서 골골루 나온 하루였습니다.
끝까지 최선을 다해주신 조사님들 고생하셨습니다.
저희 플러스호와 금갈치호는 당분간 위미항에서
출항 합니다 착오 없으시길 바랍니다.
플러스호와 함께 카이젠을 사수하라 !!!!
1월1일부터 월별 카이젠 이벤트하니 많은 예약부탁드립니다.
1월1일부터 1월 31일 까지 빅사이즈 1분 카이젠b100
2월1일부터 2월 28일 까지 빅사이즈 1분 카이젠b100
3월1일부터 3월 31일 까지 빅사이즈 1분 카이젠b100
4월1일부터 4월 30일 까지 빅사이즈 1분 카이젠b100
(추후 다른 이벤트 진행예정)
3월 기록 760그람

Screenshot_20251229_210637_Karrot.jpg

 
저희 플러스호도 한강라면 기계를 설치하였습니다.
오셔서 다양한 라면 즐기시기 바랍니다.

♤픽업♤
선착순 예약 글로벌모텔. 또는
제주시 탑동 근처숙소 추천
집합지는 탑동 마트로 맞은편 공영주차장
5시까지 집합

♤장비임대♤
로드 1만원 수동릴 1만원 전동릴 2만원
(수장.파손,고장.합사손실시 비용청구됩니다.)

♤손질보관♤
손질 또는 택배 보내실분들은 박스에 손질택배 또는
택배 기입후 성함 전화번호 꼭 기입 바랍니다.
연타자 보관 하실분은 사무장님에게 문의 바랍니다.
활갑이보관 안됨 !!!

♤예약문의♤
전화번호: 장선장 010-4478-7997
예약사이트 선상24.제주플러스호
예약후 선입금 안될시 예약은 자동 취소 됩니다.
선입금후 예약확정 꼭 확인 바랍니다.
(노쇼방지)
계좌번호 :농협 010-4478-7997-09 플러스호
.



*** 제주 플러스호 예약 안내 ***


예약문의 : 010-4478-7997

오시는길 : 제주도 위미항

모바일.gif

Top